For the last month we’ve been on one of those places that most people haven’t heard of, never mind find on a map.
The Tuamotus…the Dangerous Archipelago as they were known for years.
On one hand they are everyone’s dream Pacific Island Fantasy – remote atolls with crystal clear water, palm trees, blue lagoons, fresh breezes and few people. On the other hand they can be every navigator’s nightmare – low lying hard to see islands, sunken shallow coral heads, treacherous currents and charts dating back to Captain Cooke.
Fortunately for us, a lot of new technology has made the place more accessible. While cruisers have been sailing here for many years, developments over the last few decades have made it considerably easier and safer. GPS technology has increased the certainty in navigation. It hasn’t made the charts any better, but you can know your position on them without needing to see the sun or sky for a celestial navigation fix. New digital and high definition radars are a LOT better at picking out low-lying islands. More readily available tidal information and better weather forecasting give a better chance of avoiding dangerous conditions and catching better tides and currents.
If you can find them on a map, you will see that the Tuamotus are a 900 mile long archipelago consisting of about 80 coral atolls. An atoll is a ring shaped island with a lagoon. In the Tuamotus the largest of these is over thirty miles long; that is a pretty big lagoon. The upwind sides of the coral ring tend to be larger islands with trees, the downwind sides tend to be more bare, exposed and in some case are little more than barely awash coral reefs.
So is it safe? Yes. Is it without danger? No, you have to change the way you sail, navigate and make choices.
Since we’ve been here for a month a few of my upcoming posts are going to be about this area, so I thought I’d offer some background and context before I start gushing about the fish, sharks and palm trees.
The Risks
There are several specific risks in the Tuamotus and the prudent skipper will take steps to mitigate all of them. Specifically they are:
- Low lying islands. The Tuamotus are coral reef atolls on top of extinct underwater volcanoes. They do not project very high above the water, palm trees are the only things you can see and visibility on the horizon is maybe eight or nine miles, often times less. This is a pretty short horizon for making landfall.
- Poor chart data. Much of this part of the world has not been surveyed in detail. Much of it has not been surveyed at all with modern hydrographic techniques. What does this mean? For us there are parts of the chart which basically say “no data”. You have to be careful and keep a close watch. It also means a patch of “open” water still may have things under the surface to watch out for.
- Coral heads. Inside the atoll lagoons the water is generally pretty deep, but a surprising number of coral heads (or small coral almost-islands) come rising up from 60-100 feet of water to just below the surface. You do not want to hit these with the boat so you need to be able to see them. Fortunately the water is crystal clear.
- Currents, Part I. The big current concern is the entrances to the atolls. Imagine a swimming pool 30 miles long, ten miles wide and 80 feet deep. Then drain it two or three feet in six hours. Through a large hose. Many of the atolls have only one or two larger open passages to the sea, and depending on tides and winds the currents can tear through these openings. Sometimes currents can be as high as eight or nine knots with standing waves; Evenstar can not move that fast under power and only faster than that in certain wind conditions and you do not want to sail through these. You also do not want to go through one of these cuts at the wrong time.
- Currents, Part II. The ocean currents between the atolls can fool you. If you aren’t carefully they can sweep you along past your target or into an area that you don’t want to go to. This is less of a concern with GPS navigation, but it does mean you need to keep a sharper eye on it.
- Visibility – channel cuts, reefs and coral heads mostly. The entrance channels aren’t extremely wide and can be deceptive. In general, moving around close to or in an atoll with poor visibility can get you in trouble.
- Anchoring can be tricky, as there are many coral heads and the sand on the bottom is sometimes not much more than a thin layer.
Mitigation
What does this all mean? That you skip the Tuamotus for safer waters? Sure, it does for some. But what it means for us is that we just have to take a lot more care. There are a few rules to live by when navigating here, and those that stick with them don’t have too many problems.
- Don’t try to enter or leave an atoll entrance in the dark.
- Don’t move inside an atoll in times of reduced visibility. Preferably do your lagoon passages between 10:00 and 2:00 when the sun is high, on clear days. You can vary this by an hour on either end, depending on your direction travel and cloud cover.
- Mind the currents and tides, do your best to guesstimate when you can move through the channels easily.
- Pay extra close attention to your position.
- Give any suspected atoll a wide berth in the dark, there is plenty of deep water between them.
- Do not approach atolls in the dark, if you have to sail over night slow down and make sure you arrive at the island in the morning.
The whole way of sailing between islands changes radically as compared to island hopping someplace simple such as the Caribbean. Caribbean sailing is quite easy in comparison…you get up in the morning, pull your anchor and go; your only real concern is making sure you time it so you don’t pull in a strange after dark. That is common sense no matter where you are sailing.
Here, we try to plan our trips to leave and arrive in daylight, if possible sailing during the day. If night trips are unavoidable (sometimes the distances demand this) then make sure you sail slow enough to make your arrival with plenty of light if you need to. Catching the favorable current in the pass AND hitting it in daylight is really the challenge – keep in mind you have to get out of the atoll you are leaving on the right tide too!
When we move in an atoll we put a watcher on the bow with a radio to keep an eye out for coral heads. So far we’ve sailed through them easily enough, but our first attempt to sail across Makemo we aborted because it clouded up and started raining. We just turned around and traced our route back, it wasn’t worth the risk.
It works, and a fair number of cruisers are here and doing it safely. But not so many as to spoil it!
The Rewards
The rewards are simple – access to some of the best cruising grounds in the world.
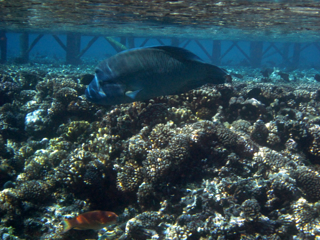
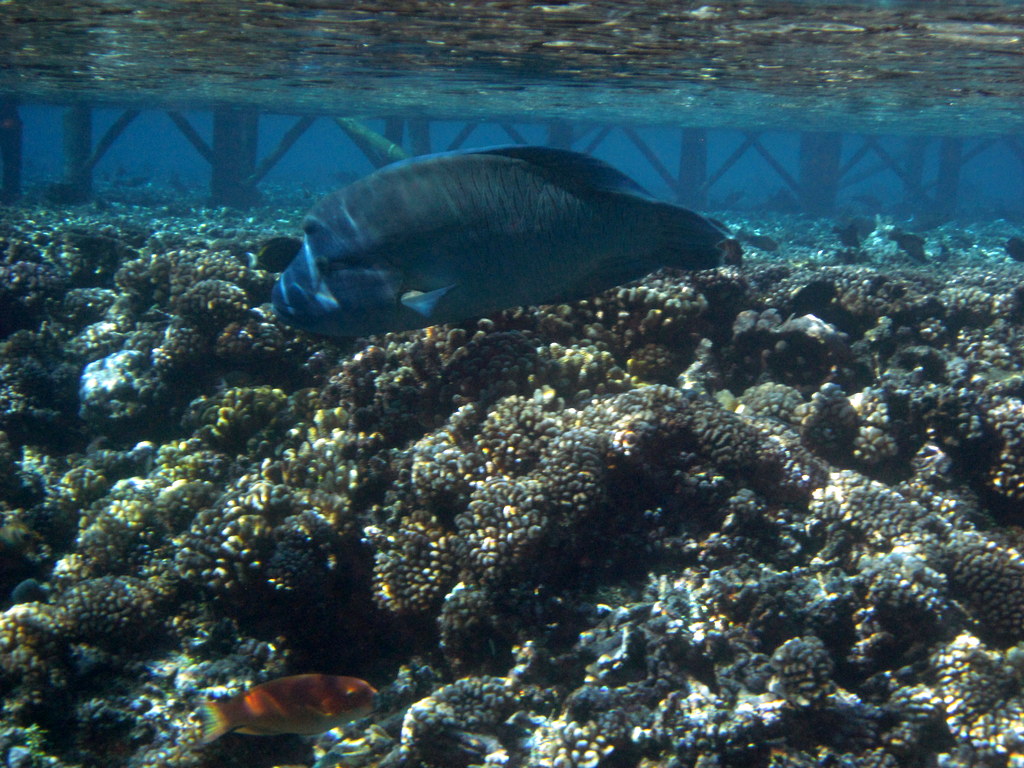
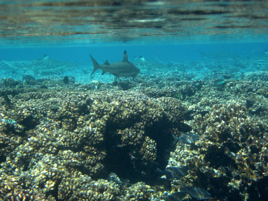
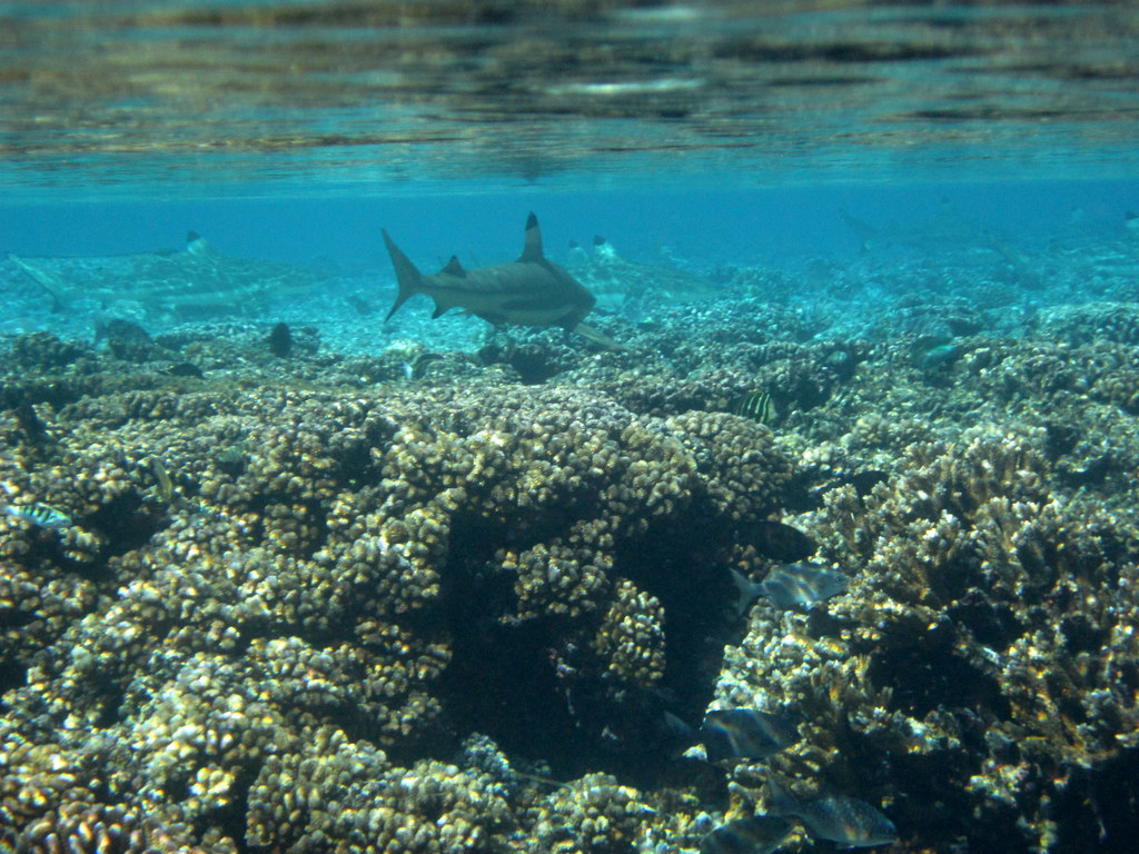
It is stunningly beautiful here. The skies are clear, the land is covered with palm trees. The water is crystalline – you can see the anchor drop in fifty feet of water and we’ve been in water with hundred foot visibilty. The aquatic life is without compare, the “poor” snorkeling areas are better than the best that some other places have to offer. There is one dive operator on Fakarava that offers a free dive if you do not see a shark; I think their risk is about zero (these aren’t big, dangerous sharks).
The people here are friendly and welcoming. On Makemo everyone gives you a cheery “bonjour”, even people driving by you in one of the infrequent cars. We happened to be in the area during the Heiva I Tahiti, a month-long festival of dance and Polynesian cultural celebration. That was something special, but don’t worry, I’ve got pictures! That is for a later post.
We could easily spend our entire six month visa exploring these islands if we had more things in the freezer and under the floorboards. The only downside we see here is very limited access to fresh fruits and vegetables, and because everything is shipped here everything else is pretty expensive. The larger towns (and on an island 30 miles long with 800 people on it “town” is a relative term) there is generally a boulangerie (French baker) with good, cheap baguettes and a couple of small stores where you can get basics.
Unfortunately some of my photos are being held captive on my PC by a bad power supply. But in the interim I’ll leave you with some of the beauty we’ve seen under the water here.











